本溪太子河经济开发区管理委员会经济发展服务局现受理“本溪市明山区卧龙液化石油气站扩建LNG/L-CNG加气站工程详细规划调整”的申请。根据有关规定,现将该项目拟调整方案公示如下:
项目名称:本溪市明山区卧龙液化石油气站扩建LNG/L-CNG加气站工程
建设单位:本溪市明山区卧龙液化石油气站
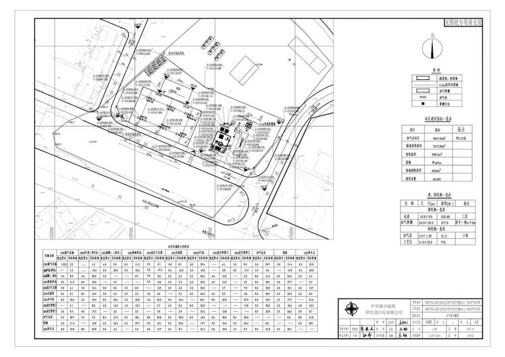
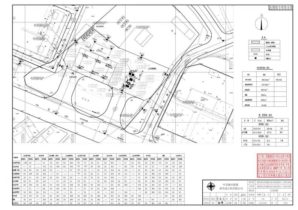
项目概况:场地及场地内建构筑物的竖向由145.00左右调整至148.00左右,开口方向由面向辅路开口调整为面向本桓路开口,该项目详细规划调整方案已经本溪太子河经济开发区2025年第三次规划委员会审查通过。
为广泛听取周边居民及利害关系人的意见,按照《中华人民共和国行政许可法》、《中华人民共和国城乡规划法》、《关于城乡规划公开公示的规定》(建规【2013】166号)的要求,现将该项目修建性详细规划予以公示,公示期限为2025年12月11日至2025年12月19日。周边居民及利害关系人如有异议,应在公示期内向本溪太子河经济开发区管理委员会经济发展服务局提出书面听证申请,我局将依法举行听证会。公示期过后,周边居民及利害关系人未提出听证申请,视为无异议。我局将按有关规定,履行该项目建设行政许可事项。
附图:
1.本溪市明山区卧龙液化石油气站扩建LNG/L-CNG加气站工程调整前总平面布置图。
2.本溪市明山区卧龙液化石油气站扩建LNG/L-CNG加气站工程调整后总平面布置图。
联系电话:024-44599508 联系人:刘先生


切换行业



正在加载...



